コンテンツへスキップ ナビゲーションに移動
A&Jフィリピン・バギオ留学|初心者から社会人・シニアまで対応|
  • HOME
  • A&Jについて
  • フィリピン・バギオ留学の魅力
  • エコキャンパス
    • エコキャンパス コース詳細
    • エコキャンパス 施設紹介
  • ブログ
  • お問い合わせ
ブログ
  1. HOME
  2. ブログ
  3. A&Jライフ
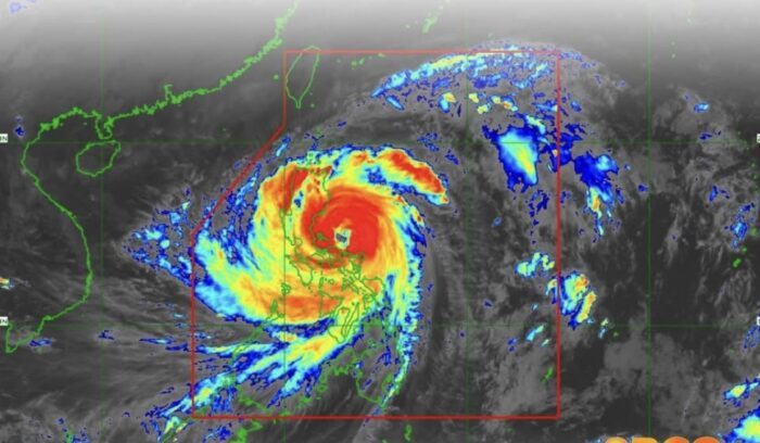
  4. 大型台風「UWAN」レポート バギオで台風を乗り切るには? 2025年11月14日号 メインキャンパスニュースレター

大型台風「UWAN」レポート バギオで台風を乗り切るには? 2025年11月14日号 メインキャンパスニュースレター

2025年11月18日 最終更新日時 : 2025年11月26日 A&J公式ホームページ管理人

カテゴリー
A&Jライフ、お知らせ、ニュース、ニュースレター、バギオ、海外生活、留学、留学体験談
タグ
2カ国留学A&Jインタビューバギオ留学フィリピンフィリピン留学ワーホリ体験談
前の記事
有料オプションクラス「バリスタ育成プログラム」初生徒フィードバック!2025年11月14日号 エコキャンパスニュースレター
2025年11月18日
次の記事
ESL(ECO HUBコース)卒業生のリアルな声をお届け! 2025年11月21日号 エコキャンパスニュースレター
2025年11月26日

最近の投稿

A&Jライフ
12月イベント「YEAR END PARTY」の様子をお届け! 2025年12月19日号 メインキャンパスニュースレター
2025年12月23日
A&Jライフ
バリスタ育成プログラム卒業生のフィードバックをお届け! 2025年12月19日号 エコキャンパスニュースレター
2025年12月23日
A&Jライフ
JAPAN BESA FAM TOURレポート ~MAIN CAMPUS編🚀~ 2025年12月12日号 メインキャンパスニュースレター
2025年12月15日
A&Jライフ
JAPAN BESA FAM TOURレポート ~ECO CAMPUS編🍃~ 2025年12月12日号 エコキャンパスニュースレター
2025年12月15日
A&Jライフ
BESA FAM TOUR 直前!A&Jメインキャンパスの特徴をおさらい! 2025年11月28日号 メインキャンパスニュースレター
2025年12月2日
A&Jライフ
ESL(ECO RELAX PLUSコース)卒業生のリアルな声をお届け! 2025年11月28日号 エコキャンパスニュースレター
2025年12月2日
A&Jライフ
ついに最高の留学シーズン到来!バギオ周辺の観光地について 2025年11月21日号 メインキャンパスニュースレター
2025年11月26日
A&Jライフ
ESL(ECO HUBコース)卒業生のリアルな声をお届け! 2025年11月21日号 エコキャンパスニュースレター
2025年11月26日
A&Jライフ
大型台風「UWAN」レポート バギオで台風を乗り切るには? 2025年11月14日号 メインキャンパスニュースレター
2025年11月18日
A&Jライフ
有料オプションクラス「バリスタ育成プログラム」初生徒フィードバック!2025年11月14日号 エコキャンパスニュースレター
2025年11月18日

カテゴリー

  • A&Jライフ
  • ECO CAMPUS
  • お知らせ
  • ニュース
  • ニュースレター
  • バギオ
  • 未分類
  • 海外生活
  • 生徒レビュー
  • 留学
  • 留学体験談
  • 英語学習

アーカイブ

  • 2025年12月
  • 2025年11月
  • 2025年10月
  • 2025年9月
  • 2025年8月
  • 2025年7月
  • 2025年6月
  • 2025年5月
  • 2025年4月
  • 2025年3月
  • 2025年2月
  • 2025年1月
  • 2024年12月
  • 2024年11月
  • 2024年10月
  • 2024年8月
  • 2024年7月
  • 2024年5月
  • 2024年4月
  • 2024年3月
  • 2024年1月
  • 2023年11月
  • 2023年9月
  • 2023年8月
  • 2023年7月
  • 2023年6月
  • 2023年4月
  • 2023年3月
  • 2023年2月
  • 2023年1月
  • 2022年12月
  • 2022年11月
  • 2020年9月
  • 2020年8月
  • 2020年7月
  • 2020年5月
  • 2020年4月
  • 2020年3月
  • 2019年8月
  • 2019年2月
  • 2018年12月
  • 2018年11月
  • 2018年10月
  • 2018年8月
  • 2018年7月
  • 2018年6月
  • 2018年5月
  • 2018年4月
  • 2018年3月
  • 2018年2月
  • 2018年1月
  • 2017年12月
  • 2017年11月
  • 2017年10月
  • 2017年9月
  • 2017年8月
  • 2017年7月
  • 2017年6月
  • 2017年5月
  • 2017年4月
  • 2017年3月
  • 2017年2月
  • 2017年1月
  • 2016年12月
  • 2016年11月
  • 2016年7月
  • 2016年4月
  • 2016年3月
  • 2016年2月
  • 2016年1月
  • 2015年12月

お問い合わせ

まずは、話を聞くだけでも構いません。

CONTACT →

よくある質問

はじめての留学でも大丈夫?

FAQ →
A&J e-EduDC English Academy

A&J e-EduDC English Academy

TEL (074) 422-4022

  • HOME
  • A&Jについて
  • フィリピン・バギオ留学の魅力
  • エコキャンパス
  • ブログ
  • お問い合わせ

© 2026 A&J フィリピン・バギオ留学 All Rights Reserved.

Copyright © A&Jフィリピン・バギオ留学|初心者から社会人・シニアまで対応| All Rights Reserved.

Powered by WordPress & Lightning Theme by Vektor,Inc. technology.

MENU
  • HOME
  • A&Jについて
  • フィリピン・バギオ留学の魅力
  • エコキャンパス
    • エコキャンパス コース詳細
    • エコキャンパス 施設紹介
  • ブログ
  • お問い合わせ